JTC launches last 4 industrial sites under confirmed, reserved lists for 2nd-half year
JTC has launched the last four industrial sites under the confirmed and reserved lists for the second half of the 2018 Industrial Government Land Sales (IGLS) Programme.
Two sites are available for tender and two sites for application, meaning their tender will be triggered if a developer's indicated minimum price in its application is acceptable to the state. This is as opposed to confirmed list sites which are launched according to schedule, regardless of demand.
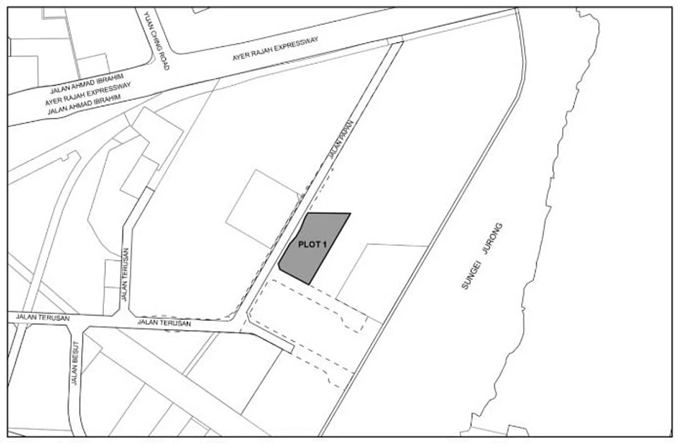
The sites for tender comprise a 20-year leasehold, 1.23 hectare parcel at Jalan Papan (Plot 1), which is the last of six confirmed list sites for the second half of 2018 IGLS Programme, and a 30-year, 2.09 ha reserve list plot at Woodlands Avenue 12 whose tender was triggered by a committed bid price of not less than S$36 million.
The tender for the Jalan Papan site closes on Feb 20, 2019, at 11am, while that for the Woodlands site closes on Feb 13 at 11am.
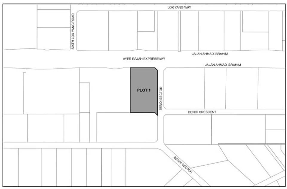
The sites open for application comprise a 1.2 ha parcel at Gambas Way (Plot 2) and a 2.0 ha parcel at Benoi Sector (Plot 1), which are the last two of seven reserve list sites for the second half of 2018 IGLS Programme. Both carry 30-year tenures.
All four sites are zoned for Business-2 use.
Copyright SPH Media. All rights reserved.
TRENDING NOW
On the board but frozen out: The Taib family feud tearing Sarawak construction giant apart
MAS, bank CEOs convene over AI cyberthreats; boards told to own risks, not leave to IT teams
Thai and Vietnamese farmers may stop planting rice because of the Iran war. Here’s why
LTA circular to potential EV charger owners reveals hundreds of e-mail addresses under carbon copy feature