JTC launches one site for tender under Industrial Government Land Sales programme
DeeperDive is a beta AI feature. Refer to full articles for the facts.
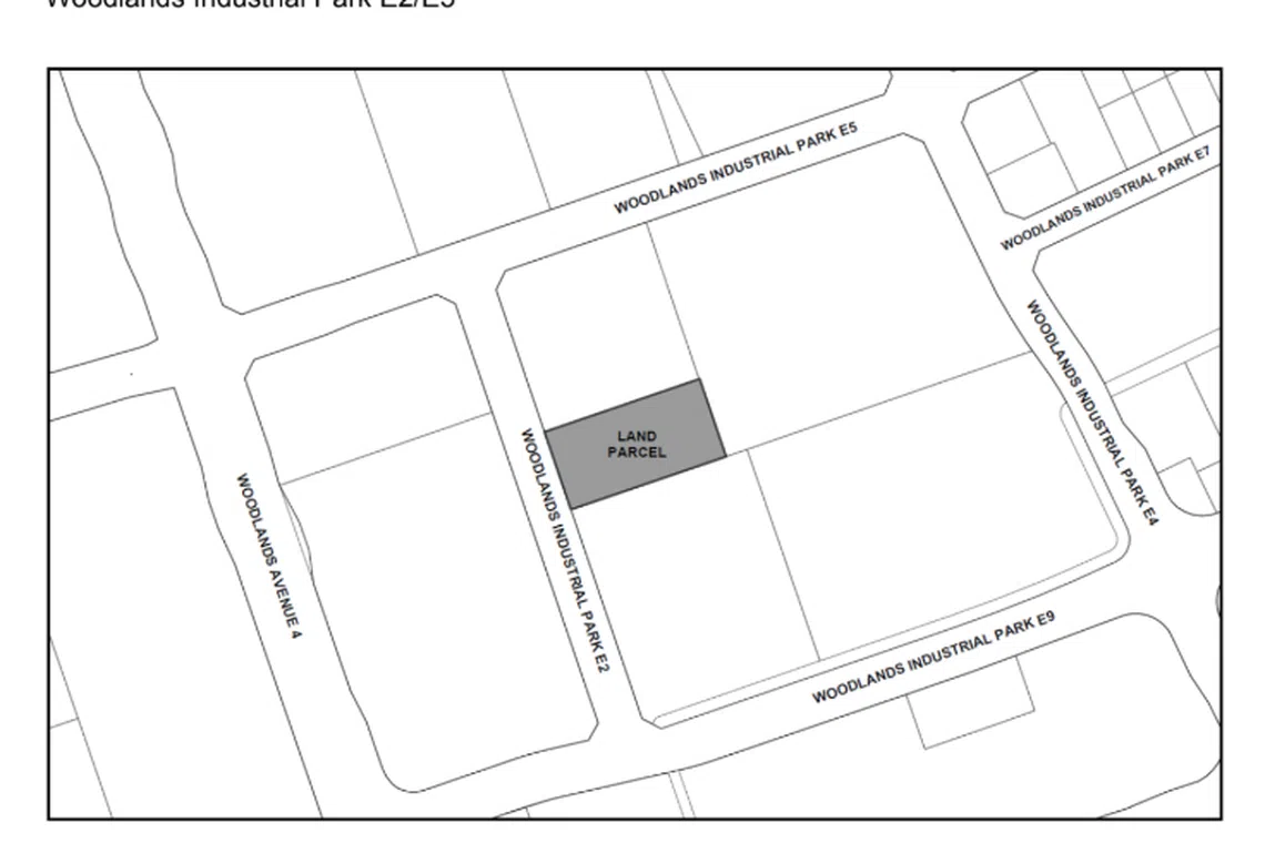
JTC has launched one site for tender under the 2018 Industrial Government Land Sales (IGLS) programme, the government agency announced in a press statement on Tuesday.
The launch is part of the government's efforts to offer more choices for industrial development, and the site at Woodlands Industrial Park is the first of six confirmed list sites for the second half 2018 IGLS programme.
Occupying a land area of 0.5 hectare, the site has a gross plot ratio of 2.5, and a tenure of 20 years.
It is also zoned for Business-2 use, and the tender for the site will close at 11am on Sept 25.
In June this year, the Ministry of Trade and Industry announced that six industrial sites will be launched under the IGLS Programme for the second half this year, with another seven sites made available for application under the Reserve List.
All in, the land area of these 13 sites add up to 12.59 hectares.
Navigate Asia in
a new global order
Get the insights delivered to your inbox.
Sites on the Reserve List are triggered for sale when an interested party submits an application with a minimum purchase price that is acceptable to the government, or if more than one unrelated party submit minimum purchase prices that are close to the government's reserve price for the site within a reasonable period.
Copyright SPH Media. All rights reserved.
TRENDING NOW
StarHub hands Ensign InfoSecurity control back to Temasek in S$115 million deal, books S$200 million gain
Singaporeans can now buy record amount of yen per Singdollar
Air India asks Tata, Singapore Airlines for funds after US$2.4 billion loss
Keppel DC Reit posts 13.2% higher Q1 DPU of S$0.02833 on strong portfolio performance