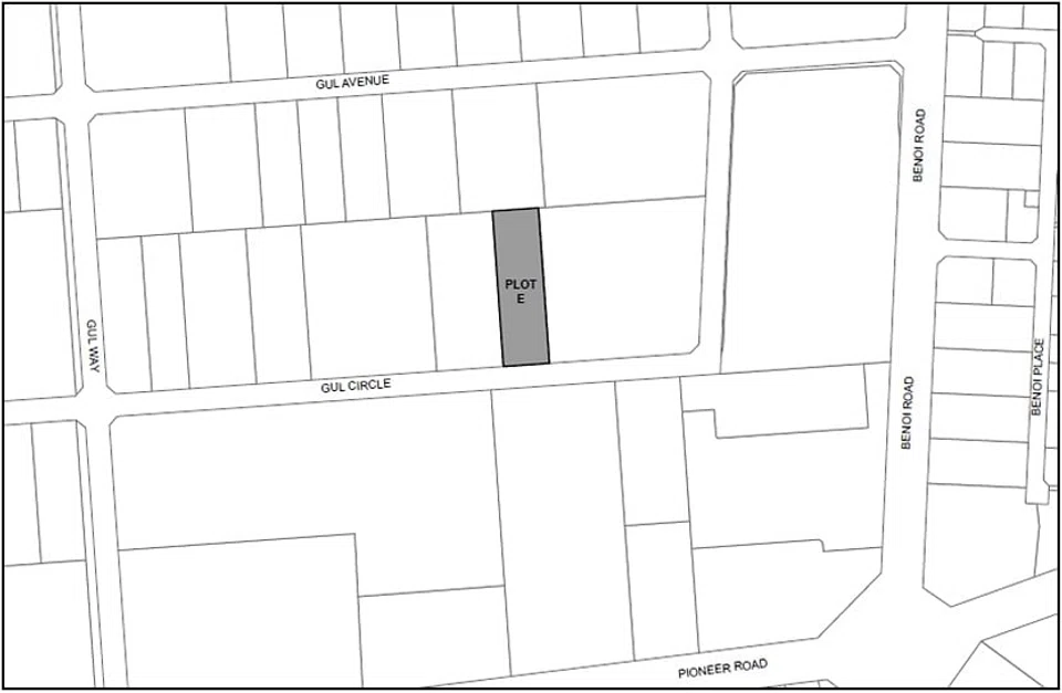
JTC puts 0.83 ha Gul Circle industrial site up for tender
Vivienne Tay
DeeperDive is a beta AI feature. Refer to full articles for the facts.
JTC has put up for tender a 0.83 hectare site in Gul Circle (Plot E), its fourth of five confirmed list sites for the first half of the 2019 Industrial Government Land Sales Programme.
The site has a lease period of 20 years, with a maximum gross plot ratio of 1.4 and a maximum building height of 24 metres above mean sea level, the government agency said on Tuesday.
It is also zoned for Business-2 for heavier industrial use, with a project completion period of 60 months. The tender closes on June 25, 2019, 11am.
The site's launch is part of the government's bid to offer more choices for industrial development, JTC added.
Copyright SPH Media. All rights reserved.
TRENDING NOW
Air India asks Tata, Singapore Airlines for funds after US$2.4 billion loss
‘Boring’ is the new black: The stars are aligning for a Singapore stock market revival
From 1MDB to ‘corporate mafia’: Is Malaysia facing a new governance test?
South-east Asian markets account for 8.8% of global capital inflows from 2021 to 2024: report