SUBSCRIBERS

Tuas site triggered for tender, Kaki Bukit plot up for application: JTC

Both zoned for B2 development, or heavier industrial use, the Tuas site and the Kaki Bukit plot have a 20-year and 30-year tenure respectively

Published Tue, Jun 25, 2019 · 09:50 PM

    Singapore

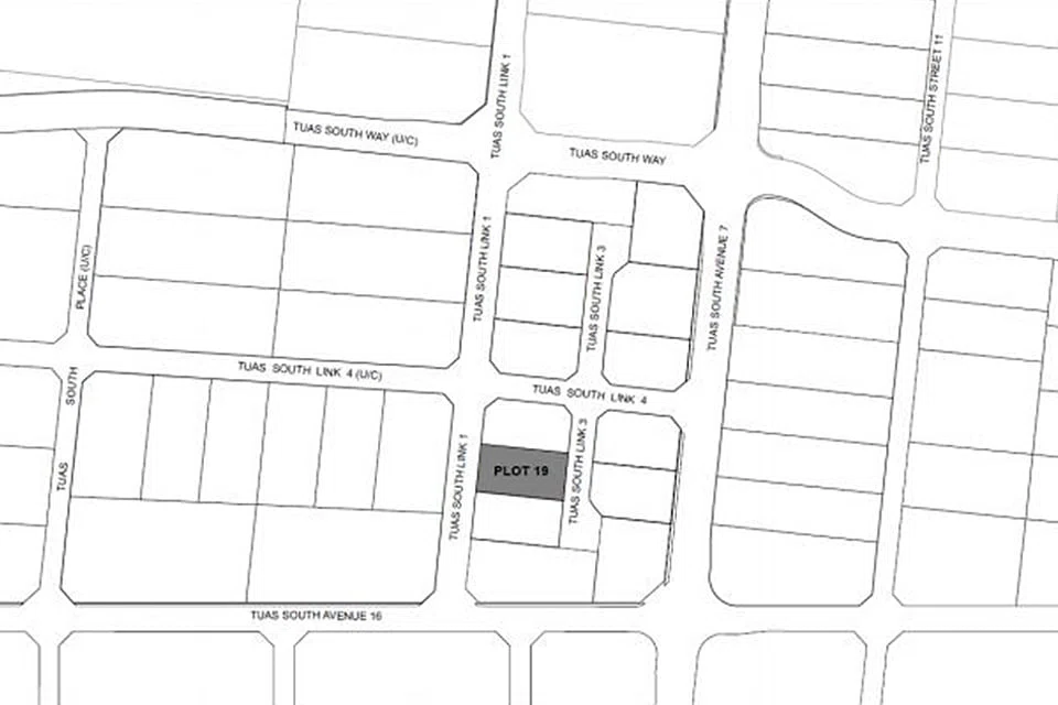
    AN INDUSTRIAL site at Tuas South Link 3 has been triggered for tender with a minimum bid price of S$2 million, while another plot at Kaki Bukit Road 5 is available for application under the first half of 2019 IGLS (industrial government land sales) programme, JTC announced on Tuesday.

    A site on the reserve list is triggered for launch if a developer's indicated minimum price in its application is acceptable to the government. This is as opposed to confirmed list sites which are launched according to a schedule, regardless of demand.

    Copyright SPH Media. All rights reserved.