Tuas site triggered for tender, Kaki Bukit plot available for application: JTC
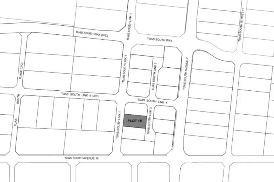
AN industrial site at Tuas South Link 3 has been triggered for tender with a minimum bid price of S$2 million, while another plot at Kaki Bukit Road 5 is available for application under the first half of 2019 IGLS (industrial government land sales) programme, JTC announced on Tuesday.
A site on the reserve list is triggered for launch if a developer's indicated minimum price in its application is acceptable to the government. This is as opposed to confirmed list sites which are launched according to schedule, regardless of demand.
In a press statement, JTC said it has received an application for the Tuas site to be put up for public tender, with a minimum committed bid price of S$2 million.
Zoned for "Business-2" (B2) development, or heavier industrial use, the Tuas site has a 20-year tenure, with an area of 0.45 hectare, and a gross plot ratio of 1.4. Tender for this site will close at 11am on Aug 6.
The site at Kaki Bukit Road 5 has a tenure of 30 years and occupies an area of 2.02 hectares. It is similarly zoned for B2 use, with a gross plot ratio of 2.5.
JTC noted that the Kaki Bukit site is also the last of seven reserve list sites under the first half of the 2019 IGLS programme.
Share with us your feedback on BT's products and services
TRENDING NOW
On the board but frozen out: The Taib family feud tearing Sarawak construction giant apart
Singapore developer in limbo after Timor-Leste scraps major township project
That ‘cheap’ Malaysia condo could cost Singapore buyers far more than they think
Gojek founder Nadiem Makarim faces 18-year jail demand in Indonesia laptop graft trial