JTC to launch tender for Tuas South Link reserve list site

Vivienne Tay

Vivienne Tay

Published Fri, Jun 7, 2019 · 04:47 AM

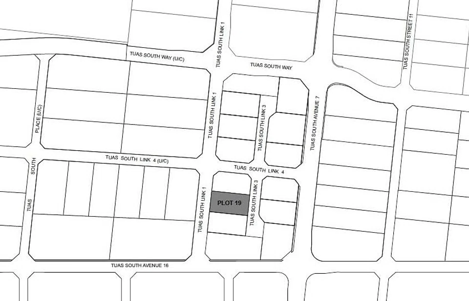
    JTC will launch a tender for an industrial site at Tuas South Link 3 (Plot 19) after receiving an application with a committed bid price of not less than S$2 million.

    As the minimum price committed by the applicant is acceptable to the government, the site is being released for public tender, JTC said on Friday. The identity of the applicant was not disclosed.

    The site, which has a 20-year tenure, has a site area of 0.45 hectare, a gross plot ratio of 1.4 and is zoned for Business-2 use. It also has a maximum building height of 63.5 metres above mean sea level.

    The land parcel was made available for sale on the reserve list of the first half 2019 Industrial Government Land Sales (IGLS) Programme. Its public tender is scheduled for June 25, with a tender period of six weeks.

    In the same announcement, JTC separately noted that the tender for an industrial site at Tampines North Drive 3 (Plot 2) will not be awarded. The site's tender launched on Feb 26 and closed on April 23 with one bid submitted. The bid was not accepted as the price offered was below the reserve price, JTC added.

    Copyright SPH Media. All rights reserved.