JTC launches Woodlands Industrial Park site for tender
Ng Ren Jye
DeeperDive is a beta AI feature. Refer to full articles for the facts.
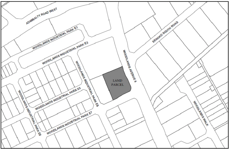
JTC has launched a Woodlands Industrial Park site for tender under the second half of its 2019 Industrial Government Land Sales (IGLS) programme.
Woodlands Industrial Park E7/E8 has a 20-year tenure and a site area of 0.77 hectare.
It is zoned B2 for industrial purposes and has a 2.5 gross plot ratio.
The site is the third of four confirmed list sites for the second half of the 2019 IGLS programme.
The tender will close at 11am on Jan 21, 2020.
This follows JTC's late October launch of a Tuas West Avenue site, the second of the four sites.
Copyright SPH Media. All rights reserved.
TRENDING NOW
Richard Eu on how core values, customers keep Singapore’s TCM chain Eu Yan Sang relevant
Hao Mart shuts stores, sinks deeper into losses with four High Court lawsuits looming
From intern to C-suite: JPMorgan’s Teresa Heitsenrether on building a fully AI-powered ‘megabank’
DBS, OCBC, UOB shed nearly 3,000 jobs in 2025 amid restructuring, productivity push